iPhone 16 ra mắt cuối tháng 9/2024 thu hút sự quan tâm lớn từ cộng đồng. Dù được đánh giá là không có nhiều đột phá, lượng tìm kiếm về sản phẩm này vẫn tăng gấp 3,22 lần so với quý trước.

Đây là một trong những thông tin được Cốc Cốc ghi nhận trong hành vi tìm kiếm của người dùng Việt trong 3 tháng qua.

Người Việt mê iPhone 16, thích chơi pickleball nhưng tìm kiếm nhiều nhất lại là một thứ khác!- Ảnh 1.

iPhone 16 là một trong những từ khóa được người dùng Việt tìm kiếm nhiều nhất trong 3 tháng vừa qua.

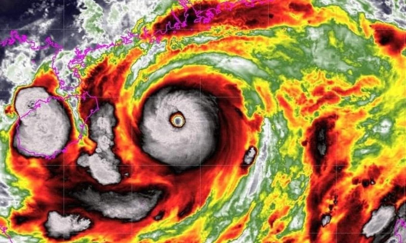
Theo báo cáo Xu hướng tìm kiếm quý 3/2024 vừa được Công ty Cốc Cốc công bố, sự kiện thu hút sự quan tâm lớn nhất chính là bão Yagi - cơn bão mạnh nhất trong 30 năm qua trên Biển Đông.

Các hoạt động cứu trợ và minh bạch tài chính liên quan đến bão lũ cũng thu hút sự chú ý lớn, với lượng tìm kiếm từ khóa “sao kê Mặt trận Tổ quốc Việt Nam” tăng đột biến gấp 190,7 lần so với quý trước. Điều này phản ánh sự lo lắng và trách nhiệm của cộng đồng trước thiên tai, cũng như sự quan tâm ngày càng lớn đến tính minh bạch trong công tác cứu trợ từ thiện.

Người Việt mê iPhone 16, thích chơi pickleball nhưng tìm kiếm nhiều nhất lại là một thứ khác!- Ảnh 2.

Sự kiện thu hút sự quan tâm lớn nhất chính là bão Yagi - cơn bão mạnh nhất trong 30 năm qua trên Biển Đông.

Bên cạnh đó, trong bối cảnh các quy định bảo mật mới về giao dịch tài chính trực tuyến như Quyết định 2345/QĐ-NHNN của Ngân hàng Nhà nước áp dụng từ ngày 1/7/2024, Thông tư 1818/2024/TT-NHNN sẽ có hiệu lực từ ngày 01/01/2025, để đảm bảo giao dịch thông suốt và an toàn, người dùng đã chủ động tìm kiếm hướng dẫn về cách xác thực sinh trắc học. Theo đó, lượng tìm kiếm của từ khóa “xác thực sinh trắc học” đã tăng trưởng lên đến 19,91 lần so với quý trước.

Một sự kiện công nghệ trong nước đáng chú ý khác trong quý này là Việt Nam sẽ chính thức tắt sóng 2G kể từ ngày 15/10/2024. Theo Thông tư số 10/2024/TT-BTTTT của Bộ Thông tin và Truyền thông ban hành ngày 13/09/2024, hệ thống 2G sẽ ngừng hỗ trợ các thuê bao sử dụng thiết bị 2G-Only từ ngày 15/10/2024 (lùi 1 tháng so với lịch dự kiến trước đó để người dân kịp thời khắc phục hậu quả bão Yagi) và ngừng hoạt động hoàn toàn vào ngày 15/09/2026.

Đây là sự kiện đánh dấu bước tiến quan trọng trong việc hiện đại hóa hạ tầng viễn thông của Việt Nam, hướng tới phổ cập các công nghệ tiên tiến hơn như 4G và 5G. Với sự thay đổi này, từ khoá “tắt sóng 2g” đã tăng trưởng 4,62 lần về lượng tìm kiếm so với quý trước.

Quý 3 cũng chứng kiến sự “trỗi dậy” của hàng loạt từ lóng. Đáng chú ý nhất là cụm từ “check VAR”, với mức tăng 8,43 lần so với quý trước. Ban đầu xuất phát từ bóng đá, “check VAR” giờ đây được Gen Z sử dụng rộng rãi để ám chỉ việc kiểm tra, xác minh độ chính xác của thông tin.

Cùng với đó, cụm từ “phông bạt” - chỉ những người thích khoe mẽ, phóng đại sự thật - cũng tăng đáng kể với mức tăng 3,47 lần.

Trào lưu mạng xã hội còn trở nên sôi động hơn với các cụm từ như “ai sợ thì đi về” và “đỉnh nóc kịch trần bay phấp phới”. Đây là những từ lóng bắt nguồn từ các sự kiện văn hóa đại chúng, truyền tải tinh thần của giới trẻ: Tự do, cá tính và không ngại thể hiện bản thân.

Trong lĩnh vực giải trí, các chương trình truyền hình thực tế như “Anh trai vượt ngàn chông gai” và “Anh trai say hi” tiếp tục thu hút sự chú ý lớn.

Người Việt mê iPhone 16, thích chơi pickleball nhưng tìm kiếm nhiều nhất lại là một thứ khác!- Ảnh 3.

“Black Myth: Wukong” là tựa game được người Việt tìm kiếm nhiều nhất thời gian qua.

Người Việt mê iPhone 16, thích chơi pickleball nhưng tìm kiếm nhiều nhất lại là một thứ khác!- Ảnh 4.

Trong khi đó môn thể thao Pickleball cũng gây bão khi được nhiều người Việt quan tâm.

Đồng thời, trò chơi “Black Myth: Wukong” gây bão thị trường game khi đạt doanh số 10 triệu bản chỉ trong 3 ngày đầu ra mắt, với lượng tìm kiếm về tựa game này tăng gấp 31,08 lần so với quý trước.

Thể thao chứng kiến sự gia tăng tìm kiếm ấn tượng, đặc biệt với bộ môn pickleball, một môn thể thao “lai” giữa tennis, bóng bàn và cầu lông. Sự quan tâm về pickleball đã tăng gấp 4,26 lần so với quý trước, nhờ vào sự lăng xê của người nổi tiếng và những tranh cãi về trang phục thi đấu.

  • Tham khảo thêm

    Một phiên bản iPhone 16 đang "cháy hàng" tại Việt Nam bao giờ mới có hàng trở lại?

    Một phiên bản iPhone 16 đang
  • Tham khảo thêm

    Sau 1 tuần mở bán tại Việt Nam, có lắm người khen kẻ chê, iPhone 16 thật sự "cháy hàng" hay "ế ẩm"?

    Sau 1 tuần mở bán tại Việt Nam, có lắm người khen kẻ chê, iPhone 16 thật sự
  • Tham khảo thêm

    Trấn Thành lên livestream mukbang: mút tay, uống sữa ngay trên sóng, lượt xem tăng chóng mặt, phiên live giật lag liên tục

    Trấn Thành lên livestream mukbang: mút tay, uống sữa ngay trên sóng, lượt xem tăng chóng mặt, phiên live giật lag liên tục

Theo: https://kenh14.vn/nguoi-viet-me-iphone-16-thich-choi-pickleball-nhung-tim-kiem-nhieu-nhat-lai-la-mot-thu-khac-215241010171509797.chn